Italiano
15.750 €

FIENILE

Casa singola in vendita • Canal San Bovo - Localita' Revedea
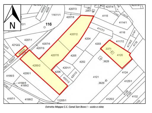
In asta fienile in legno “barch” con terreni limitrofi e sparsi situati nei comuni amministrativi di canal san bovo e mezzano (tn).
Tipico fienile in legno della zona denominato “barch” con struttura portante e copertura completamente in legno di abete ed unico acceso sul lato sud/est per mezzo di un portone a due ante. il fienile si sviluppa su due piani fuori terra collegati fra loro da una scala interna.
Si identifica invece un terreno a prato circostante al fienile.

Immobile all'asta, contattaci per fissare una prima consulenza gratuita presso il nostro Studio.
Siamo aperti dal lunedì al sabato, su appuntamento.
AD ASTA affiliato Gardemar Srl offre servizi professionali di consulenza nell'ambito di procedure
esecutive immobiliari e fallimentari.
La nostra missione è quella di avvicinare il privato e le società agli acquisti di immobili oggetto di
procedura esecutiva immobiliare e, al contempo, cercare di aiutare i soggetti esecutati nel
risolvere la propria posizione debitoria grazie ad accordi di saldo e stralcio con i relativi creditori.
IL NOSTRO TEAM DI ESPERTI E’ SPECIALIZZATO ANCHE IN ACQUISTO PRE-ASTA.
Ad oggi Gardemar vede un network di 15 filiali autonome su territorio nazionale e dispone della
collaborazione di uno Studio Legale partner.
Servizi di consulenza offerti:
Aste giudiziarie immobiliari
Esecuzioni immobiliari
Procedure fallimentari
Ricerca di immobili all'asta
Procedura di saldo e stralcio
Aste telematiche immobiliari
Business plan per i costi di partecipazione all'asta
Valutazione globale dell'investimento
Analisi delle perizie tecniche
Analisi su eventuali abusi edilizi
Analisi sugli avvisi di vendita e ordinanze del giudice
Analisi su eventuali diritti di terzi sull'immobile
Consulenza post-aggiudicazione asta immobiliare
Ottenimento finanziamenti tramite professionisti dedicati
Consulenza legale tramite Studio Legale partner
Consulenza costi di ristrutturazione immobiliare con nostri partner affiliati.
Caratteristiche principali
Codice
ADA55/2022 24feb
Città
Canal San Bovo
Categoria
Casa singola
Prezzo
15.750 €
Locali
2
Camere
2
Mq
16
Piano
2
Classe energetica
G
Stato Immobile
Buono
Grado
Medio
Mappa
Localita' Revedea , Canal San Bovo (TN)
Condividi su
Cookie preference