Italiano
67.125 €

Appartamento in Vendita a Seregno (MB) Via Luigi S

Appartamento in vendita • Seregno - Via Luigi Settembrini , 14
Proponiamo in vendita un appartamento situato nel comune di Seregno (MB), Italia. L'immobile è posto all'asta con un prezzo di 67.125 EUR e dispone di una superficie di 63 mq distribuiti su 4 vani. L'appartamento offre spazi ben distribuiti e luminosi, ideali per una famiglia o per chiunque sia alla ricerca di una soluzione abitativa confortevole. La zona in cui è ubicato l'immobile è tranquilla e ben servita, garantendo così una buona qualità della vita.





Top Invest Consulting affiliata Gardemar, filiale di Medolago è uno studio di consulenza che accompagna il cliente in tutto il percorso relativo all'acquisto tramite asta giudiziaria, compresa l'assistenza per le nuove procedure TELEMATICHE:
Ti assisteremo in tutte le fasi dell’asta, dalla visita all’immobile, alla compilazione della domanda, fino alla consegna delle chiavi e al saldo prezzo che potrà avvenire anche tramite mutuo bancario.
Ti forniamo una relazione completa e approfondita con una valutazione attendibile, verifiche tecnico-legali, preciso calcolo dei costi annessi all’acquisto, analisi dell’andamento del mercato, previsioni sull’andamento dell’asta, analisi della redditività degli immobili, tabelle per il trading.

l'immobile viene venduto dal tribunale,
il prezzo indicato si riferisce all'offerta minima.
Contattaci per fissare un appuntamento per avere tutte le informazioni necessarie.

Proponiamo in vendita un appartamento situato nel comune di Seregno (MB), Italia. L'immobile è posto all'asta con un prezzo di 67.125 EUR e dispone di una superficie di 63 mq distribuiti su 4 vani. L'appartamento offre spazi ben distribuiti e luminosi, ideali per una famiglia o per chiunque sia alla ricerca di una soluzione abitativa confortevole. La zona in cui è ubicato l'immobile è tranquilla e ben servita, garantendo così una buona qualità della vita.





Top Invest Consulting affiliata Gardemar, filiale di Medolago è uno studio di consulenza che accompagna il cliente in tutto il percorso relativo all'acquisto tramite asta giudiziaria, compresa l'assistenza per le nuove procedure TELEMATICHE:
Ti assisteremo in tutte le fasi dell’asta, dalla visita all’immobile, alla compilazione della domanda, fino alla consegna delle chiavi e al saldo prezzo che potrà avvenire anche tramite mutuo bancario.
Ti forniamo una relazione completa e approfondita con una valutazione attendibile, verifiche tecnico-legali, preciso calcolo dei costi annessi all’acquisto, analisi dell’andamento del mercato, previsioni sull’andamento dell’asta, analisi della redditività degli immobili, tabelle per il trading.

l'immobile viene venduto dal tribunale,
il prezzo indicato si riferisce all'offerta minima.
Contattaci per fissare un appuntamento per avere tutte le informazioni necessarie.

Proponiamo in vendita un appartamento situato nel comune di Seregno (MB), Italia. L'immobile è posto all'asta con un prezzo di 67.125 EUR e dispone di una superficie di 63 mq distribuiti su 4 vani. L'appartamento offre spazi ben distribuiti e luminosi, ideali per una famiglia o per chiunque sia alla ricerca di una soluzione abitativa confortevole. La zona in cui è ubicato l'immobile è tranquilla e ben servita, garantendo così una buona qualità della vita.





Top Invest Consulting affiliata Gardemar, filiale di Medolago è uno studio di consulenza che accompagna il cliente in tutto il percorso relativo all'acquisto tramite asta giudiziaria, compresa l'assistenza per le nuove procedure TELEMATICHE:
Ti assisteremo in tutte le fasi dell’asta, dalla visita all’immobile, alla compilazione della domanda, fino alla consegna delle chiavi e al saldo prezzo che potrà avvenire anche tramite mutuo bancario.
Ti forniamo una relazione completa e approfondita con una valutazione attendibile, verifiche tecnico-legali, preciso calcolo dei costi annessi all’acquisto, analisi dell’andamento del mercato, previsioni sull’andamento dell’asta, analisi della redditività degli immobili, tabelle per il trading.

l'immobile viene venduto dal tribunale,
il prezzo indicato si riferisce all'offerta minima.
Contattaci per fissare un appuntamento per avere tutte le informazioni necessarie.

Proponiamo in vendita un appartamento situato nel comune di Seregno (MB), Italia. L'immobile è posto all'asta con un prezzo di 67.125 EUR e dispone di una superficie di 63 mq distribuiti su 4 vani. L'appartamento offre spazi ben distribuiti e luminosi, ideali per una famiglia o per chiunque sia alla ricerca di una soluzione abitativa confortevole. La zona in cui è ubicato l'immobile è tranquilla e ben servita, garantendo così una buona qualità della vita.





Top Invest Consulting affiliata Gardemar, filiale di Medolago è uno studio di consulenza che accompagna il cliente in tutto il percorso relativo all'acquisto tramite asta giudiziaria, compresa l'assistenza per le nuove procedure TELEMATICHE:
Ti assisteremo in tutte le fasi dell’asta, dalla visita all’immobile, alla compilazione della domanda, fino alla consegna delle chiavi e al saldo prezzo che potrà avvenire anche tramite mutuo bancario.
Ti forniamo una relazione completa e approfondita con una valutazione attendibile, verifiche tecnico-legali, preciso calcolo dei costi annessi all’acquisto, analisi dell’andamento del mercato, previsioni sull’andamento dell’asta, analisi della redditività degli immobili, tabelle per il trading.

l'immobile viene venduto dal tribunale,
il prezzo indicato si riferisce all'offerta minima.
Contattaci per fissare un appuntamento per avere tutte le informazioni necessarie.

Proponiamo in vendita un appartamento situato nel comune di Seregno (MB), Italia. L'immobile è posto all'asta con un prezzo di 67.125 EUR e dispone di una superficie di 63 mq distribuiti su 4 vani. L'appartamento offre spazi ben distribuiti e luminosi, ideali per una famiglia o per chiunque sia alla ricerca di una soluzione abitativa confortevole. La zona in cui è ubicato l'immobile è tranquilla e ben servita, garantendo così una buona qualità della vita.





Top Invest Consulting affiliata Gardemar, filiale di Medolago è uno studio di consulenza che accompagna il cliente in tutto il percorso relativo all'acquisto tramite asta giudiziaria, compresa l'assistenza per le nuove procedure TELEMATICHE:
Ti assisteremo in tutte le fasi dell’asta, dalla visita all’immobile, alla compilazione della domanda, fino alla consegna delle chiavi e al saldo prezzo che potrà avvenire anche tramite mutuo bancario.
Ti forniamo una relazione completa e approfondita con una valutazione attendibile, verifiche tecnico-legali, preciso calcolo dei costi annessi all’acquisto, analisi dell’andamento del mercato, previsioni sull’andamento dell’asta, analisi della redditività degli immobili, tabelle per il trading.

l'immobile viene venduto dal tribunale,
il prezzo indicato si riferisce all'offerta minima.
Contattaci per fissare un appuntamento per avere tutte le informazioni necessarie.

Proponiamo in vendita un appartamento situato nel comune di Seregno (MB), Italia. L'immobile è posto all'asta con un prezzo di 67.125 EUR e dispone di una superficie di 63 mq distribuiti su 4 vani. L'appartamento offre spazi ben distribuiti e luminosi, ideali per una famiglia o per chiunque sia alla ricerca di una soluzione abitativa confortevole. La zona in cui è ubicato l'immobile è tranquilla e ben servita, garantendo così una buona qualità della vita.





Top Invest Consulting affiliata Gardemar, filiale di Medolago è uno studio di consulenza che accompagna il cliente in tutto il percorso relativo all'acquisto tramite asta giudiziaria, compresa l'assistenza per le nuove procedure TELEMATICHE:
Ti assisteremo in tutte le fasi dell’asta, dalla visita all’immobile, alla compilazione della domanda, fino alla consegna delle chiavi e al saldo prezzo che potrà avvenire anche tramite mutuo bancario.
Ti forniamo una relazione completa e approfondita con una valutazione attendibile, verifiche tecnico-legali, preciso calcolo dei costi annessi all’acquisto, analisi dell’andamento del mercato, previsioni sull’andamento dell’asta, analisi della redditività degli immobili, tabelle per il trading.

l'immobile viene venduto dal tribunale,
il prezzo indicato si riferisce all'offerta minima.
Contattaci per fissare un appuntamento per avere tutte le informazioni necessarie.

Proponiamo in vendita un appartamento situato nel comune di Seregno (MB), Italia. L'immobile è posto all'asta con un prezzo di 67.125 EUR e dispone di una superficie di 63 mq distribuiti su 4 vani. L'appartamento offre spazi ben distribuiti e luminosi, ideali per una famiglia o per chiunque sia alla ricerca di una soluzione abitativa confortevole. La zona in cui è ubicato l'immobile è tranquilla e ben servita, garantendo così una buona qualità della vita.





Top Invest Consulting affiliata Gardemar, filiale di Medolago è uno studio di consulenza che accompagna il cliente in tutto il percorso relativo all'acquisto tramite asta giudiziaria, compresa l'assistenza per le nuove procedure TELEMATICHE:
Ti assisteremo in tutte le fasi dell’asta, dalla visita all’immobile, alla compilazione della domanda, fino alla consegna delle chiavi e al saldo prezzo che potrà avvenire anche tramite mutuo bancario.
Ti forniamo una relazione completa e approfondita con una valutazione attendibile, verifiche tecnico-legali, preciso calcolo dei costi annessi all’acquisto, analisi dell’andamento del mercato, previsioni sull’andamento dell’asta, analisi della redditività degli immobili, tabelle per il trading.

l'immobile viene venduto dal tribunale,
il prezzo indicato si riferisce all'offerta minima.
Contattaci per fissare un appuntamento per avere tutte le informazioni necessarie.

Proponiamo in vendita un appartamento situato nel comune di Seregno (MB), Italia. L'immobile è posto all'asta con un prezzo di 67.125 EUR e dispone di una superficie di 63 mq distribuiti su 4 vani. L'appartamento offre spazi ben distribuiti e luminosi, ideali per una famiglia o per chiunque sia alla ricerca di una soluzione abitativa confortevole. La zona in cui è ubicato l'immobile è tranquilla e ben servita, garantendo così una buona qualità della vita.





Top Invest Consulting affiliata Gardemar, filiale di Medolago è uno studio di consulenza che accompagna il cliente in tutto il percorso relativo all'acquisto tramite asta giudiziaria, compresa l'assistenza per le nuove procedure TELEMATICHE:
Ti assisteremo in tutte le fasi dell’asta, dalla visita all’immobile, alla compilazione della domanda, fino alla consegna delle chiavi e al saldo prezzo che potrà avvenire anche tramite mutuo bancario.
Ti forniamo una relazione completa e approfondita con una valutazione attendibile, verifiche tecnico-legali, preciso calcolo dei costi annessi all’acquisto, analisi dell’andamento del mercato, previsioni sull’andamento dell’asta, analisi della redditività degli immobili, tabelle per il trading.

l'immobile viene venduto dal tribunale,
il prezzo indicato si riferisce all'offerta minima.
Contattaci per fissare un appuntamento per avere tutte le informazioni necessarie.

Proponiamo in vendita un appartamento situato nel comune di Seregno (MB), Italia. L'immobile è posto all'asta con un prezzo di 67.125 EUR e dispone di una superficie di 63 mq distribuiti su 4 vani. L'appartamento offre spazi ben distribuiti e luminosi, ideali per una famiglia o per chiunque sia alla ricerca di una soluzione abitativa confortevole. La zona in cui è ubicato l'immobile è tranquilla e ben servita, garantendo così una buona qualità della vita.





Top Invest Consulting affiliata Gardemar, filiale di Medolago è uno studio di consulenza che accompagna il cliente in tutto il percorso relativo all'acquisto tramite asta giudiziaria, compresa l'assistenza per le nuove procedure TELEMATICHE:
Ti assisteremo in tutte le fasi dell’asta, dalla visita all’immobile, alla compilazione della domanda, fino alla consegna delle chiavi e al saldo prezzo che potrà avvenire anche tramite mutuo bancario.
Ti forniamo una relazione completa e approfondita con una valutazione attendibile, verifiche tecnico-legali, preciso calcolo dei costi annessi all’acquisto, analisi dell’andamento del mercato, previsioni sull’andamento dell’asta, analisi della redditività degli immobili, tabelle per il trading.

l'immobile viene venduto dal tribunale,
il prezzo indicato si riferisce all'offerta minima.
Contattaci per fissare un appuntamento per avere tutte le informazioni necessarie.

Proponiamo in vendita un appartamento situato nel comune di Seregno (MB), Italia. L'immobile è posto all'asta con un prezzo di 67.125 EUR e dispone di una superficie di 63 mq distribuiti su 4 vani. L'appartamento offre spazi ben distribuiti e luminosi, ideali per una famiglia o per chiunque sia alla ricerca di una soluzione abitativa confortevole. La zona in cui è ubicato l'immobile è tranquilla e ben servita, garantendo così una buona qualità della vita.





Top Invest Consulting affiliata Gardemar, filiale di Medolago è uno studio di consulenza che accompagna il cliente in tutto il percorso relativo all'acquisto tramite asta giudiziaria, compresa l'assistenza per le nuove procedure TELEMATICHE:
Ti assisteremo in tutte le fasi dell’asta, dalla visita all’immobile, alla compilazione della domanda, fino alla consegna delle chiavi e al saldo prezzo che potrà avvenire anche tramite mutuo bancario.
Ti forniamo una relazione completa e approfondita con una valutazione attendibile, verifiche tecnico-legali, preciso calcolo dei costi annessi all’acquisto, analisi dell’andamento del mercato, previsioni sull’andamento dell’asta, analisi della redditività degli immobili, tabelle per il trading.

l'immobile viene venduto dal tribunale,
il prezzo indicato si riferisce all'offerta minima.
Contattaci per fissare un appuntamento per avere tutte le informazioni necessarie.

Proponiamo in vendita un appartamento situato nel comune di Seregno (MB), Italia. L'immobile è posto all'asta con un prezzo di 67.125 EUR e dispone di una superficie di 63 mq distribuiti su 4 vani. L'appartamento offre spazi ben distribuiti e luminosi, ideali per una famiglia o per chiunque sia alla ricerca di una soluzione abitativa confortevole. La zona in cui è ubicato l'immobile è tranquilla e ben servita, garantendo così una buona qualità della vita.





Top Invest Consulting affiliata Gardemar, filiale di Medolago è uno studio di consulenza che accompagna il cliente in tutto il percorso relativo all'acquisto tramite asta giudiziaria, compresa l'assistenza per le nuove procedure TELEMATICHE:
Ti assisteremo in tutte le fasi dell’asta, dalla visita all’immobile, alla compilazione della domanda, fino alla consegna delle chiavi e al saldo prezzo che potrà avvenire anche tramite mutuo bancario.
Ti forniamo una relazione completa e approfondita con una valutazione attendibile, verifiche tecnico-legali, preciso calcolo dei costi annessi all’acquisto, analisi dell’andamento del mercato, previsioni sull’andamento dell’asta, analisi della redditività degli immobili, tabelle per il trading.

l'immobile viene venduto dal tribunale,
il prezzo indicato si riferisce all'offerta minima.
Contattaci per fissare un appuntamento per avere tutte le informazioni necessarie.

Proponiamo in vendita un appartamento situato nel comune di Seregno (MB), Italia. L'immobile è posto all'asta con un prezzo di 67.125 EUR e dispone di una superficie di 63 mq distribuiti su 4 vani. L'appartamento offre spazi ben distribuiti e luminosi, ideali per una famiglia o per chiunque sia alla ricerca di una soluzione abitativa confortevole. La zona in cui è ubicato l'immobile è tranquilla e ben servita, garantendo così una buona qualità della vita.





Top Invest Consulting affiliata Gardemar, filiale di Medolago è uno studio di consulenza che accompagna il cliente in tutto il percorso relativo all'acquisto tramite asta giudiziaria, compresa l'assistenza per le nuove procedure TELEMATICHE:
Ti assisteremo in tutte le fasi dell’asta, dalla visita all’immobile, alla compilazione della domanda, fino alla consegna delle chiavi e al saldo prezzo che potrà avvenire anche tramite mutuo bancario.
Ti forniamo una relazione completa e approfondita con una valutazione attendibile, verifiche tecnico-legali, preciso calcolo dei costi annessi all’acquisto, analisi dell’andamento del mercato, previsioni sull’andamento dell’asta, analisi della redditività degli immobili, tabelle per il trading.

l'immobile viene venduto dal tribunale,
il prezzo indicato si riferisce all'offerta minima.
Contattaci per fissare un appuntamento per avere tutte le informazioni necessarie.

Proponiamo in vendita un appartamento situato nel comune di Seregno (MB), Italia. L'immobile è posto all'asta con un prezzo di 67.125 EUR e dispone di una superficie di 63 mq distribuiti su 4 vani. L'appartamento offre spazi ben distribuiti e luminosi, ideali per una famiglia o per chiunque sia alla ricerca di una soluzione abitativa confortevole. La zona in cui è ubicato l'immobile è tranquilla e ben servita, garantendo così una buona qualità della vita.





Top Invest Consulting affiliata Gardemar, filiale di Medolago è uno studio di consulenza che accompagna il cliente in tutto il percorso relativo all'acquisto tramite asta giudiziaria, compresa l'assistenza per le nuove procedure TELEMATICHE:
Ti assisteremo in tutte le fasi dell’asta, dalla visita all’immobile, alla compilazione della domanda, fino alla consegna delle chiavi e al saldo prezzo che potrà avvenire anche tramite mutuo bancario.
Ti forniamo una relazione completa e approfondita con una valutazione attendibile, verifiche tecnico-legali, preciso calcolo dei costi annessi all’acquisto, analisi dell’andamento del mercato, previsioni sull’andamento dell’asta, analisi della redditività degli immobili, tabelle per il trading.

l'immobile viene venduto dal tribunale,
il prezzo indicato si riferisce all'offerta minima.
Contattaci per fissare un appuntamento per avere tutte le informazioni necessarie.

Proponiamo in vendita un appartamento situato nel comune di Seregno (MB), Italia. L'immobile è posto all'asta con un prezzo di 67.125 EUR e dispone di una superficie di 63 mq distribuiti su 4 vani. L'appartamento offre spazi ben distribuiti e luminosi, ideali per una famiglia o per chiunque sia alla ricerca di una soluzione abitativa confortevole. La zona in cui è ubicato l'immobile è tranquilla e ben servita, garantendo così una buona qualità della vita.





Top Invest Consulting affiliata Gardemar, filiale di Medolago è uno studio di consulenza che accompagna il cliente in tutto il percorso relativo all'acquisto tramite asta giudiziaria, compresa l'assistenza per le nuove procedure TELEMATICHE:
Ti assisteremo in tutte le fasi dell’asta, dalla visita all’immobile, alla compilazione della domanda, fino alla consegna delle chiavi e al saldo prezzo che potrà avvenire anche tramite mutuo bancario.
Ti forniamo una relazione completa e approfondita con una valutazione attendibile, verifiche tecnico-legali, preciso calcolo dei costi annessi all’acquisto, analisi dell’andamento del mercato, previsioni sull’andamento dell’asta, analisi della redditività degli immobili, tabelle per il trading.

l'immobile viene venduto dal tribunale,
il prezzo indicato si riferisce all'offerta minima.
Contattaci per fissare un appuntamento per avere tutte le informazioni necessarie.

Proponiamo in vendita un appartamento situato nel comune di Seregno (MB), Italia. L'immobile è posto all'asta con un prezzo di 67.125 EUR e dispone di una superficie di 63 mq distribuiti su 4 vani. L'appartamento offre spazi ben distribuiti e luminosi, ideali per una famiglia o per chiunque sia alla ricerca di una soluzione abitativa confortevole. La zona in cui è ubicato l'immobile è tranquilla e ben servita, garantendo così una buona qualità della vita.





Top Invest Consulting affiliata Gardemar, filiale di Medolago è uno studio di consulenza che accompagna il cliente in tutto il percorso relativo all'acquisto tramite asta giudiziaria, compresa l'assistenza per le nuove procedure TELEMATICHE:
Ti assisteremo in tutte le fasi dell’asta, dalla visita all’immobile, alla compilazione della domanda, fino alla consegna delle chiavi e al saldo prezzo che potrà avvenire anche tramite mutuo bancario.
Ti forniamo una relazione completa e approfondita con una valutazione attendibile, verifiche tecnico-legali, preciso calcolo dei costi annessi all’acquisto, analisi dell’andamento del mercato, previsioni sull’andamento dell’asta, analisi della redditività degli immobili, tabelle per il trading.

l'immobile viene venduto dal tribunale,
il prezzo indicato si riferisce all'offerta minima.
Contattaci per fissare un appuntamento per avere tutte le informazioni necessarie.

Proponiamo in vendita un appartamento situato nel comune di Seregno (MB), Italia. L'immobile è posto all'asta con un prezzo di 67.125 EUR e dispone di una superficie di 63 mq distribuiti su 4 vani. L'appartamento offre spazi ben distribuiti e luminosi, ideali per una famiglia o per chiunque sia alla ricerca di una soluzione abitativa confortevole. La zona in cui è ubicato l'immobile è tranquilla e ben servita, garantendo così una buona qualità della vita.





Top Invest Consulting affiliata Gardemar, filiale di Medolago è uno studio di consulenza che accompagna il cliente in tutto il percorso relativo all'acquisto tramite asta giudiziaria, compresa l'assistenza per le nuove procedure TELEMATICHE:
Ti assisteremo in tutte le fasi dell’asta, dalla visita all’immobile, alla compilazione della domanda, fino alla consegna delle chiavi e al saldo prezzo che potrà avvenire anche tramite mutuo bancario.
Ti forniamo una relazione completa e approfondita con una valutazione attendibile, verifiche tecnico-legali, preciso calcolo dei costi annessi all’acquisto, analisi dell’andamento del mercato, previsioni sull’andamento dell’asta, analisi della redditività degli immobili, tabelle per il trading.

l'immobile viene venduto dal tribunale,
il prezzo indicato si riferisce all'offerta minima.
Contattaci per fissare un appuntamento per avere tutte le informazioni necessarie.

Proponiamo in vendita un appartamento situato nel comune di Seregno (MB), Italia. L'immobile è posto all'asta con un prezzo di 67.125 EUR e dispone di una superficie di 63 mq distribuiti su 4 vani. L'appartamento offre spazi ben distribuiti e luminosi, ideali per una famiglia o per chiunque sia alla ricerca di una soluzione abitativa confortevole. La zona in cui è ubicato l'immobile è tranquilla e ben servita, garantendo così una buona qualità della vita.





Top Invest Consulting affiliata Gardemar, filiale di Medolago è uno studio di consulenza che accompagna il cliente in tutto il percorso relativo all'acquisto tramite asta giudiziaria, compresa l'assistenza per le nuove procedure TELEMATICHE:
Ti assisteremo in tutte le fasi dell’asta, dalla visita all’immobile, alla compilazione della domanda, fino alla consegna delle chiavi e al saldo prezzo che potrà avvenire anche tramite mutuo bancario.
Ti forniamo una relazione completa e approfondita con una valutazione attendibile, verifiche tecnico-legali, preciso calcolo dei costi annessi all’acquisto, analisi dell’andamento del mercato, previsioni sull’andamento dell’asta, analisi della redditività degli immobili, tabelle per il trading.

l'immobile viene venduto dal tribunale,
il prezzo indicato si riferisce all'offerta minima.
Contattaci per fissare un appuntamento per avere tutte le informazioni necessarie.

Proponiamo in vendita un appartamento situato nel comune di Seregno (MB), Italia. L'immobile è posto all'asta con un prezzo di 67.125 EUR e dispone di una superficie di 63 mq distribuiti su 4 vani. L'appartamento offre spazi ben distribuiti e luminosi, ideali per una famiglia o per chiunque sia alla ricerca di una soluzione abitativa confortevole. La zona in cui è ubicato l'immobile è tranquilla e ben servita, garantendo così una buona qualità della vita.





Top Invest Consulting affiliata Gardemar, filiale di Medolago è uno studio di consulenza che accompagna il cliente in tutto il percorso relativo all'acquisto tramite asta giudiziaria, compresa l'assistenza per le nuove procedure TELEMATICHE:
Ti assisteremo in tutte le fasi dell’asta, dalla visita all’immobile, alla compilazione della domanda, fino alla consegna delle chiavi e al saldo prezzo che potrà avvenire anche tramite mutuo bancario.
Ti forniamo una relazione completa e approfondita con una valutazione attendibile, verifiche tecnico-legali, preciso calcolo dei costi annessi all’acquisto, analisi dell’andamento del mercato, previsioni sull’andamento dell’asta, analisi della redditività degli immobili, tabelle per il trading.

l'immobile viene venduto dal tribunale,
il prezzo indicato si riferisce all'offerta minima.
Contattaci per fissare un appuntamento per avere tutte le informazioni necessarie.

Proponiamo in vendita un appartamento situato nel comune di Seregno (MB), Italia. L'immobile è posto all'asta con un prezzo di 67.125 EUR e dispone di una superficie di 63 mq distribuiti su 4 vani. L'appartamento offre spazi ben distribuiti e luminosi, ideali per una famiglia o per chiunque sia alla ricerca di una soluzione abitativa confortevole. La zona in cui è ubicato l'immobile è tranquilla e ben servita, garantendo così una buona qualità della vita.





Top Invest Consulting affiliata Gardemar, filiale di Medolago è uno studio di consulenza che accompagna il cliente in tutto il percorso relativo all'acquisto tramite asta giudiziaria, compresa l'assistenza per le nuove procedure TELEMATICHE:
Ti assisteremo in tutte le fasi dell’asta, dalla visita all’immobile, alla compilazione della domanda, fino alla consegna delle chiavi e al saldo prezzo che potrà avvenire anche tramite mutuo bancario.
Ti forniamo una relazione completa e approfondita con una valutazione attendibile, verifiche tecnico-legali, preciso calcolo dei costi annessi all’acquisto, analisi dell’andamento del mercato, previsioni sull’andamento dell’asta, analisi della redditività degli immobili, tabelle per il trading.

l'immobile viene venduto dal tribunale,
il prezzo indicato si riferisce all'offerta minima.
Contattaci per fissare un appuntamento per avere tutte le informazioni necessarie.

Proponiamo in vendita un appartamento situato nel comune di Seregno (MB), Italia. L'immobile è posto all'asta con un prezzo di 67.125 EUR e dispone di una superficie di 63 mq distribuiti su 4 vani. L'appartamento offre spazi ben distribuiti e luminosi, ideali per una famiglia o per chiunque sia alla ricerca di una soluzione abitativa confortevole. La zona in cui è ubicato l'immobile è tranquilla e ben servita, garantendo così una buona qualità della vita.





Top Invest Consulting affiliata Gardemar, filiale di Medolago è uno studio di consulenza che accompagna il cliente in tutto il percorso relativo all'acquisto tramite asta giudiziaria, compresa l'assistenza per le nuove procedure TELEMATICHE:
Ti assisteremo in tutte le fasi dell’asta, dalla visita all’immobile, alla compilazione della domanda, fino alla consegna delle chiavi e al saldo prezzo che potrà avvenire anche tramite mutuo bancario.
Ti forniamo una relazione completa e approfondita con una valutazione attendibile, verifiche tecnico-legali, preciso calcolo dei costi annessi all’acquisto, analisi dell’andamento del mercato, previsioni sull’andamento dell’asta, analisi della redditività degli immobili, tabelle per il trading.

l'immobile viene venduto dal tribunale,
il prezzo indicato si riferisce all'offerta minima.
Contattaci per fissare un appuntamento per avere tutte le informazioni necessarie.

Proponiamo in vendita un appartamento situato nel comune di Seregno (MB), Italia. L'immobile è posto all'asta con un prezzo di 67.125 EUR e dispone di una superficie di 63 mq distribuiti su 4 vani. L'appartamento offre spazi ben distribuiti e luminosi, ideali per una famiglia o per chiunque sia alla ricerca di una soluzione abitativa confortevole. La zona in cui è ubicato l'immobile è tranquilla e ben servita, garantendo così una buona qualità della vita.





Top Invest Consulting affiliata Gardemar, filiale di Medolago è uno studio di consulenza che accompagna il cliente in tutto il percorso relativo all'acquisto tramite asta giudiziaria, compresa l'assistenza per le nuove procedure TELEMATICHE:
Ti assisteremo in tutte le fasi dell’asta, dalla visita all’immobile, alla compilazione della domanda, fino alla consegna delle chiavi e al saldo prezzo che potrà avvenire anche tramite mutuo bancario.
Ti forniamo una relazione completa e approfondita con una valutazione attendibile, verifiche tecnico-legali, preciso calcolo dei costi annessi all’acquisto, analisi dell’andamento del mercato, previsioni sull’andamento dell’asta, analisi della redditività degli immobili, tabelle per il trading.

l'immobile viene venduto dal tribunale,
il prezzo indicato si riferisce all'offerta minima.
Contattaci per fissare un appuntamento per avere tutte le informazioni necessarie.

Proponiamo in vendita un appartamento situato nel comune di Seregno (MB), Italia. L'immobile è posto all'asta con un prezzo di 67.125 EUR e dispone di una superficie di 63 mq distribuiti su 4 vani. L'appartamento offre spazi ben distribuiti e luminosi, ideali per una famiglia o per chiunque sia alla ricerca di una soluzione abitativa confortevole. La zona in cui è ubicato l'immobile è tranquilla e ben servita, garantendo così una buona qualità della vita.





Top Invest Consulting affiliata Gardemar, filiale di Medolago è uno studio di consulenza che accompagna il cliente in tutto il percorso relativo all'acquisto tramite asta giudiziaria, compresa l'assistenza per le nuove procedure TELEMATICHE:
Ti assisteremo in tutte le fasi dell’asta, dalla visita all’immobile, alla compilazione della domanda, fino alla consegna delle chiavi e al saldo prezzo che potrà avvenire anche tramite mutuo bancario.
Ti forniamo una relazione completa e approfondita con una valutazione attendibile, verifiche tecnico-legali, preciso calcolo dei costi annessi all’acquisto, analisi dell’andamento del mercato, previsioni sull’andamento dell’asta, analisi della redditività degli immobili, tabelle per il trading.

l'immobile viene venduto dal tribunale,
il prezzo indicato si riferisce all'offerta minima.
Contattaci per fissare un appuntamento per avere tutte le informazioni necessarie.

Proponiamo in vendita un appartamento situato nel comune di Seregno (MB), Italia. L'immobile è posto all'asta con un prezzo di 67.125 EUR e dispone di una superficie di 63 mq distribuiti su 4 vani. L'appartamento offre spazi ben distribuiti e luminosi, ideali per una famiglia o per chiunque sia alla ricerca di una soluzione abitativa confortevole. La zona in cui è ubicato l'immobile è tranquilla e ben servita, garantendo così una buona qualità della vita.





Top Invest Consulting affiliata Gardemar, filiale di Medolago è uno studio di consulenza che accompagna il cliente in tutto il percorso relativo all'acquisto tramite asta giudiziaria, compresa l'assistenza per le nuove procedure TELEMATICHE:
Ti assisteremo in tutte le fasi dell’asta, dalla visita all’immobile, alla compilazione della domanda, fino alla consegna delle chiavi e al saldo prezzo che potrà avvenire anche tramite mutuo bancario.
Ti forniamo una relazione completa e approfondita con una valutazione attendibile, verifiche tecnico-legali, preciso calcolo dei costi annessi all’acquisto, analisi dell’andamento del mercato, previsioni sull’andamento dell’asta, analisi della redditività degli immobili, tabelle per il trading.

l'immobile viene venduto dal tribunale,
il prezzo indicato si riferisce all'offerta minima.
Contattaci per fissare un appuntamento per avere tutte le informazioni necessarie.

Proponiamo in vendita un appartamento situato nel comune di Seregno (MB), Italia. L'immobile è posto all'asta con un prezzo di 67.125 EUR e dispone di una superficie di 63 mq distribuiti su 4 vani. L'appartamento offre spazi ben distribuiti e luminosi, ideali per una famiglia o per chiunque sia alla ricerca di una soluzione abitativa confortevole. La zona in cui è ubicato l'immobile è tranquilla e ben servita, garantendo così una buona qualità della vita.





Top Invest Consulting affiliata Gardemar, filiale di Medolago è uno studio di consulenza che accompagna il cliente in tutto il percorso relativo all'acquisto tramite asta giudiziaria, compresa l'assistenza per le nuove procedure TELEMATICHE:
Ti assisteremo in tutte le fasi dell’asta, dalla visita all’immobile, alla compilazione della domanda, fino alla consegna delle chiavi e al saldo prezzo che potrà avvenire anche tramite mutuo bancario.
Ti forniamo una relazione completa e approfondita con una valutazione attendibile, verifiche tecnico-legali, preciso calcolo dei costi annessi all’acquisto, analisi dell’andamento del mercato, previsioni sull’andamento dell’asta, analisi della redditività degli immobili, tabelle per il trading.

l'immobile viene venduto dal tribunale,
il prezzo indicato si riferisce all'offerta minima.
Contattaci per fissare un appuntamento per avere tutte le informazioni necessarie.

Proponiamo in vendita un appartamento situato nel comune di Seregno (MB), Italia. L'immobile è posto all'asta con un prezzo di 67.125 EUR e dispone di una superficie di 63 mq distribuiti su 4 vani. L'appartamento offre spazi ben distribuiti e luminosi, ideali per una famiglia o per chiunque sia alla ricerca di una soluzione abitativa confortevole. La zona in cui è ubicato l'immobile è tranquilla e ben servita, garantendo così una buona qualità della vita.





Top Invest Consulting affiliata Gardemar, filiale di Medolago è uno studio di consulenza che accompagna il cliente in tutto il percorso relativo all'acquisto tramite asta giudiziaria, compresa l'assistenza per le nuove procedure TELEMATICHE:
Ti assisteremo in tutte le fasi dell’asta, dalla visita all’immobile, alla compilazione della domanda, fino alla consegna delle chiavi e al saldo prezzo che potrà avvenire anche tramite mutuo bancario.
Ti forniamo una relazione completa e approfondita con una valutazione attendibile, verifiche tecnico-legali, preciso calcolo dei costi annessi all’acquisto, analisi dell’andamento del mercato, previsioni sull’andamento dell’asta, analisi della redditività degli immobili, tabelle per il trading.

l'immobile viene venduto dal tribunale,
il prezzo indicato si riferisce all'offerta minima.
Contattaci per fissare un appuntamento per avere tutte le informazioni necessarie.

Proponiamo in vendita un appartamento situato nel comune di Seregno (MB), Italia. L'immobile è posto all'asta con un prezzo di 67.125 EUR e dispone di una superficie di 63 mq distribuiti su 4 vani. L'appartamento offre spazi ben distribuiti e luminosi, ideali per una famiglia o per chiunque sia alla ricerca di una soluzione abitativa confortevole. La zona in cui è ubicato l'immobile è tranquilla e ben servita, garantendo così una buona qualità della vita.





Top Invest Consulting affiliata Gardemar, filiale di Medolago è uno studio di consulenza che accompagna il cliente in tutto il percorso relativo all'acquisto tramite asta giudiziaria, compresa l'assistenza per le nuove procedure TELEMATICHE:
Ti assisteremo in tutte le fasi dell’asta, dalla visita all’immobile, alla compilazione della domanda, fino alla consegna delle chiavi e al saldo prezzo che potrà avvenire anche tramite mutuo bancario.
Ti forniamo una relazione completa e approfondita con una valutazione attendibile, verifiche tecnico-legali, preciso calcolo dei costi annessi all’acquisto, analisi dell’andamento del mercato, previsioni sull’andamento dell’asta, analisi della redditività degli immobili, tabelle per il trading.

l'immobile viene venduto dal tribunale,
il prezzo indicato si riferisce all'offerta minima.
Contattaci per fissare un appuntamento per avere tutte le informazioni necessarie.

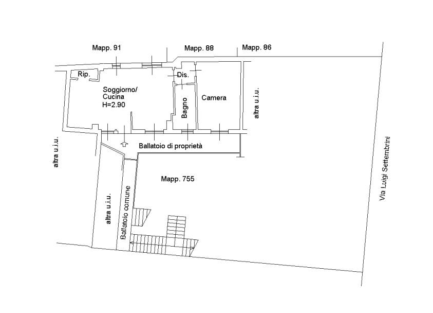
Caratteristiche principali
Codice
NI140624A
Città
Seregno
Categoria
Appartamento
Prezzo
67.125 €
Locali
4
Camere
1
Bagni
1
Mq
63
Piano
1
Classe energetica
Non classificabile
Stato Immobile
Buono
Grado
Medio
Posizione
Centro
Panorama
Vista Monumento
Lati Liberi
1
Giardino
No
Arredi
Possibilità
Tipo Soggiorno
Soggiorno
Tipo Cucina
Angolo Cottura
Riscaldamento
Autonomo
Tipo Riscaldam.
Caldaia
Tipo Impianto
Radiatori
Fonte Energetica
Metano
Acqua Calda
Autonoma
Raffrescamento
Non Necessario
Infissi
Legno
Serramenti
Buono
Persiana
Persiana Legno
Pavim. Giorno
Ceramica
Pavim. Notte
Ceramica
Pavim. Cucina
Ceramica
Pavim. Bagno
Ceramica
Accesso Disabili
No
Mappa
Via Luigi Settembrini 14, Seregno (MB)
Condividi su
Cookie preference