Italiano
44.100 €

Abitazione uso civile

Appartamento in vendita • Buscate - Via san pietro, 40
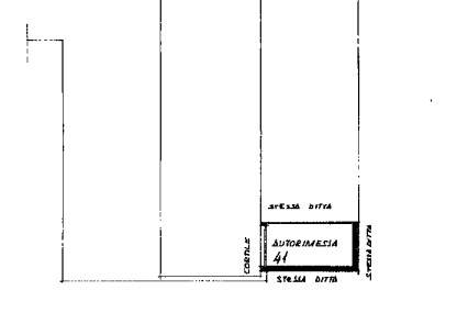
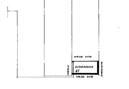
Piena ed intera proprietà di appartamento al piano secondo. composto da cucina, soggiorno, ripostiglio, camera ed un bagno con annessi pertinenziali cantina e box autorimessa a piano interrato. Lieve difformità edilizia sanabile.
IMMOBILE ALL’ASTA , viene consegnato dalla Procedura all’aggiudicatario libero da persone e/o cose- AffidandoTi alla consulenza della società GARDEMAR, che opera sul territorio nazionale con oltre 30 affiliati autonomi, riceverai un servizio a 360°, dall’individuazione dell’immobile alla partecipazione in gara. In caso di aggiudicazione il nostro team ti accompagnerà nell’iter burocratico fino alla consegna definitiva delle chiavi ed il pieno possesso dell’immobile.
Piena ed intera proprietà di appartamento al piano secondo. composto da cucina, soggiorno, ripostiglio, camera ed un bagno con annessi pertinenziali cantina e box autorimessa a piano interrato. Lieve difformità edilizia sanabile.
IMMOBILE ALL’ASTA , viene consegnato dalla Procedura all’aggiudicatario libero da persone e/o cose- AffidandoTi alla consulenza della società GARDEMAR, che opera sul territorio nazionale con oltre 30 affiliati autonomi, riceverai un servizio a 360°, dall’individuazione dell’immobile alla partecipazione in gara. In caso di aggiudicazione il nostro team ti accompagnerà nell’iter burocratico fino alla consegna definitiva delle chiavi ed il pieno possesso dell’immobile.
Caratteristiche principali
Codice
ef 12/2023 U MI 29ott
Città
Buscate
Categoria
Appartamento
Prezzo
44.100 €
Locali
4
Camere
1
Bagni
1
Mq
80
Box
1
Balconi
1
Mq Balcone
9
Piano
2
Classe energetica
G
Stato Immobile
Discrete Condizioni
Grado
Economico
Tipo Soggiorno
Salone
Tipo Cucina
Abitabile
Riscaldamento
Centralizzato
Tipo Riscaldam.
Caldaia
Tipo Impianto
Radiatori
Fonte Energetica
Metano
Acqua Calda
Autonoma
Infissi
Legno
Serramenti
Buono
Pavim. Giorno
Ceramica
Pavim. Notte
Ceramica
Pavim. Cucina
Ceramica
Pavim. Bagno
Ceramica

Accessori: Ascensore, Ripostiglio

Mappa
Via san pietro 40, Buscate (MI)
Video
Condividi su
Cookie preference