Italiano
54.000 €

Abitazione uso civile

Appartamento in vendita • Vailate - Via Della Ponticella , 1
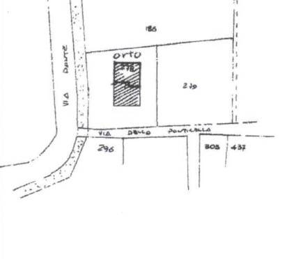
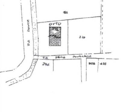
Piena proprietà di appartamento posto al piano terra (rialzato) di un edificio condominiale iacp cremona di sei appartamenti, con cantina al piano seminterrato ed area pertinenziale (orto) al piano terra, inferiore a 5.000 mq..
Composto da ampio soggiorno, cottura, due camere, un bagno ed un disimpegno con un balcone. Al piano seminterrato c’è un locale cantina ubicato sotto il soggiorno di proprietà. L’orto pertinenziale si trova ubicato nel cortile comune condominiale in lato Nord ed in posizione non esattamente individuata secondo quanto riportato nelle coerenze trascritte sul titolo di proprietà.
Caratteristiche principali
Codice
gme 84/2024 U CR 21ott
Città
Vailate
Categoria
Appartamento
Prezzo
54.000 €
Locali
5
Camere
2
Bagni
1
Mq
90
Balconi
1
Piano
Rialzato
Classe energetica
G
Stato Immobile
Discrete Condizioni
Grado
Economico
Tipo Soggiorno
Soggiorno
Tipo Cucina
Abitabile
Riscaldamento
Autonomo
Tipo Riscaldam.
Caldaia
Tipo Impianto
Radiatori
Fonte Energetica
Metano
Acqua Calda
Autonoma
Infissi
Legno Doppio Vetro
Serramenti
Mediocre
Persiana
Tapparella Legno
Pavim. Giorno
Marmette
Pavim. Notte
Marmette
Pavim. Cucina
Marmette
Pavim. Bagno
Marmette
Mappa
Via Della Ponticella 1, Vailate (CR)
Video
Condividi su
Cookie preference